*Llaman a mantenerse en casa y atender recomendaciones oficiales
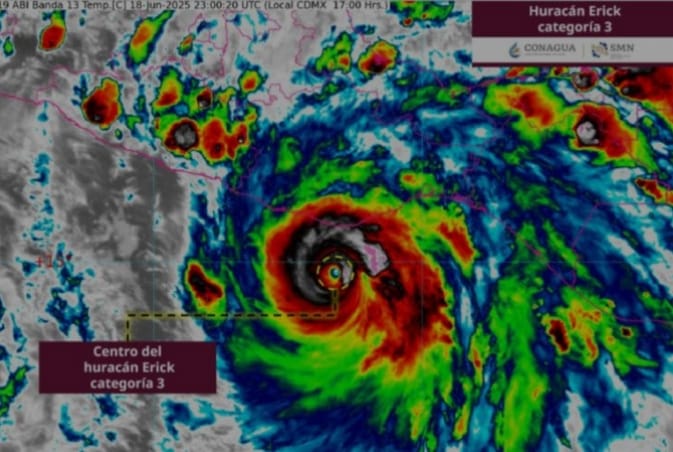
Chilpancingo, Gro., 19 de junio de 2025.– La gobernadora Evelyn Salgado Pineda instruyó a reforzar las medidas preventivas a la población, ante la evolución de “Erick” a huracán categoría 3, intensificando las acciones en todo el estado, especialmente en municipios costeros.
Como parte de los protocolos, la Secretaría de Gestión Integral de Riesgos y Protección Civil, mantiene activo los más de 500 refugios temporales y se han desplegado cuerpos de seguridad para evitar actos de rapiña, además de mantener la vigilancia constante en zonas de riesgo. Las autoridades continúan llamando a la población a mantenerse en casa y atender las indicaciones de las autoridades.
El gobierno estatal continúa en coordinación con instancias federales y municipales para proteger a la ciudadanía y brindar apoyo oportuno.
